Cascadia Clusters

provides paid training in construction trades to folks recovering from addiction and/or housing insecurity.

Whether you are in need of assistance or looking to support us,

we are glad you are here.

Our Mission

Cascadia Clusters’ mission is to provide a safe, welcoming recovery environment where participants receive paid training in construction trades while co-creating a thriving, healing community.

Image of multiple tiny homes with a person standing on a ladder partially out of view and someone standing beneath them.
Two people on a roof of a tiny home with tools.
An image of multiple tiny homes with tools in view such as saws and ladders, one person works in the distance.
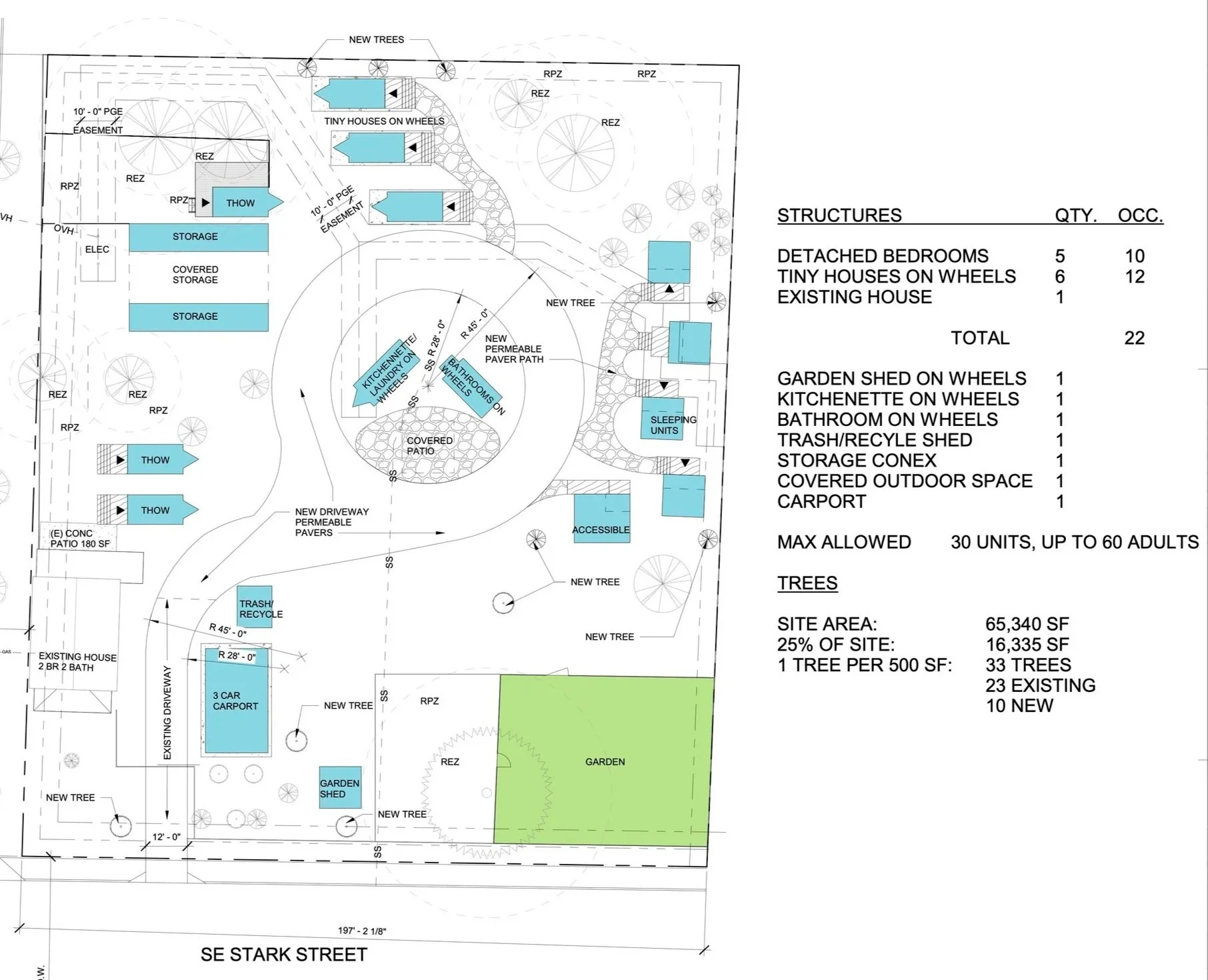
An iteration of a site map of the current Cascadia Clusters site off of SE Stark St. in Portland Oregon. Showing tiny home locations, a driveway, a house, and other community amenities.

Our Vision

Cascadia Cluster’s current home is off of Stark St. in SE Portland. This former orchard is now being utilized for the construction of tiny homes by the same people that will be moving into them upon completion.

The site map to the left represents a version of this vision which is constantly being thrust into future iterations. Decision making is not a top-down endeavor at Cascadia Clusters but an inclusive process built upon trust between program participants, construction trainers, and leadership.

Community

Compassion

Integrity

Cascadia Clusters

Community • Compassion • Integrity • Cascadia Clusters •